Bệnh mềm xương (Osteomalacia) là tình trạng rối loạn chuyển hóa xương ở chó, khiến xương trở nên mềm yếu và dễ gãy. Bệnh thường gặp ở chó trưởng thành và chó già, do thiếu hụt vitamin D, canxi hoặc photpho.
I. Đặc điểm
- Bệnh thường gặp ở chó cái có chứa hoặc đang cho con bú. Bệnh gây cho xương bị mềm, xốp rồi sinh ra biển dạng. Hậu quả làm cho chó bị què hoặc bị liệt.

- Khi gia súc có chứa hoặc nuôi con cơ thể mất nhiều canxi, photpho nên phải huy động canxi, photpho từ xương vào máu, do đó làm cho xương bị mềm, xốp.
II. Nguyên nhân
- Do trong khẩu phần ăn thiếu canxi, photpho lâu ngày, hoặc tỷ lệ Ca/P không thích hợp.
- Do cơ thể thiếu vitamin D, gia súc thiếu vận động, ít tiếp xúc với ánh sáng mặt trời.
- Do khi chó có chứa hoặc nuôi con cơ thể phải huy động canxi, photpho từ xương vào máu.
- Do tuyến phó giáp trạng tăng tiết làm hàm lượng canxi trong máu tăng.
- Do khẩu phần thiếu protein ảnh hưởng tới sự hình thành xương.
- Do chó mắc bệnh đường tiêu hoá mạn tính → giảm sự hấp thu canxi, photpho.
III. Triệu chứng
Bệnh thường phát sinh ở thể mạn tính, con vật bị bệnh có những biểu hiện sau:
- Con vật ăn kém, hay ăn bậy (la liếm, gặm tường....), hay năm, lười vận động, dễ mệt, ra mồ hôi nhiều. Khi vận động có thể nghe tiếng lục khục ở khớp xương.
- Xương hàm trên và dưới hay biến dạng, rằng mòn nhanh và không đều, xương ống nhỏ cao, cong queo và dễ gẫy. Do vậy, làm cho chó què, hoặc bị liệt. Trong một số trường hợp con vật còn có triệu chứng co giật.
- Con vật hay mắc bệnh về đường tiêu hoá, ỉa chảy. Phân còn nhiều thức ăn chưa tiêu.
- Kiểm tra máu thấy hàm lượng canxi trong huyết thanh giảm từ 5 - 7%, hàm lượng photpho hơi tăng, bạch cầu trung tính và lâm ba cầu tăng.
- Thay đổi về tổ chức học: Cốt mạc sung, xương bị xốp, ống Havers mở to, xung quang có nhiều tổ chức liên kết.
IV. Tiên lượng
Bệnh kéo dài hàng tháng hoặc hàng năm, con vật kém ăn, ít vận động, gầy mòn. Cuối cùng con vật nằm liệt và mắc các bệnh kế phát mà chết.
V. Chẩn đoán
Bệnh ở trạng thái mạn tính nên lúc đầu chẩn đoán rất khó, chủ yếu dựa vào xét nghiệm.
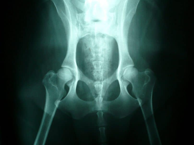
Dùng X quang có thể phát hiện bệnh sớm và biết được xương xốp, ranh giới giữa cốt mạc và tổ chức cốt mạc dây, khớp xương sưng to, có khi có u xương.
Cần chẩn đoán phân biệt với bệnh thấp khớp: bệnh thấp khớp thường phát ra khi gia súc bị cảm lạnh, con vật đi lại khó khăn khi bắt đầu vận động, sau một thời gian vận động con vật đi lại bình thường.
VI. Điều trị
1. Hộ lý
- Bổ sung thêm canxi, photpho vào khẩu phần ăn như cho ăn bột xương hoặc các loại premix khoáng, vitamin.
- Hạn chế cho con bú và cho chó hoạt động ngoài trời để tiếp thu ánh nắng mặt trời và tia tử ngoại giúp chuyển tiền vitamin D thành D2.
- Nếu con vật bị liệt, lót ổ đệm và thường xuyên trở mình cho con vật.
2. Dùng thuốc điều trị
- Bổ sung vitamin D: 5000 UI/con. Tiêm bắp ngày 1 lần.
- Dùng canxi bổ sung trực tiếp vào máu: Dùng một trong các loại thuốc sau (Canxi clorua 10%, Gluconat canxi 10%, Canxi - Fort hoặc Polycan hoặc Magie - Canxi - Fort).
- Dùng thuốc điều trị triệu chứng các bệnh kế phát.
- Dùng thuốc tăng cường trương lực cơ và bổ thần kinh: Strychnin sunfat 0,1% kết hợp với vitamin B1.
- Tăng cường khả năng hấp thu canxi cho cơ thể bằng dầu cá (3 ml/con). Cho uống ngày 1 lần.
- Trợ sức và làm giảm đau các khớp xương
- Tiêm chậm tĩnh mạch hai ngày một lần.
Chú ý:
- Nếu có điều kiện chiếu tia tử ngoại cho con vật.
- Khi dùng Strychnin sunfat 0,1% thì không dùng liên tục quá 7 ngày.
Tham khảo thêm những bài viết hay tại nongtraithucung.com
